The Detour on Route 7

August 28, 2000

 

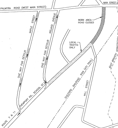
Sewer and water lines that cross the river channel just behind the Odd Fellow Hall must be moved. Those pipes are in Area 2, the next section of the channel to be excavated. Traffic must be re-routed around the affected section of Route 7 for the placement of the new lines.

 
 

The road between Mill Street and Main Street will be closed while old pipes are removed and new ones installed. As shown in the Weston diagram below, northbound Route 7 traffic will be detoured onto Ireland Avenue, to West Main Street and then down to Main. Southbound traffic will be re-routed from Main, up onto West Main and then down Maple Street to join back on to Route 7.

 

 

 

Workers have been installing the traffic control signs  needed to implement the detour. Many are covered with black plastic or burlap, but the covers will come off when the work begins just after Labor Day.

Maple Street and Ireland Avenue will be one-way during the day while the work continues. Each night, however, traffic will be returned to normal on all the street involved.

The Cattail Press Homepage